Stopping Cyclones/Hurricanes
Using orbiting satellites to "zap" cyclones and hurricanes before they reach land.

Orbiting satellites would fire cold lasers (low frequency beams) into the eye of a cyclone or hurricane, reaching the surface of the ocean. If the temperature of the laser is cooler than the temperature of the water, the water would cool, diminishing the power of the storm.
These cyclone-stopper satellites would be positioned over bodies of water where cyclones and hurricanes generally occur, orbiting at the same speed and direction of the Earth's rotation so as to remain stationary over those bodies of water at all times.
Then, when a large storm arises, the satellites would be moved directly above the eye of the storm and would begin firing beams at the water at the center of the storm's eye.
There are, of course, several implications of firing lasers down to Earth from space that would need to be considered and evaluated. For instance, will the lasers have a detrimental effect on the o-zone layer or other parts of the atmosphere? Will the lasers cause harm to any fish that may be swimming in the target area? Etc. It would also seem pretty evident that all such laser activity would have to cease when the eye of the storm is passing over land that is populated.
If firing lasers through the atmosphere from Earth orbit is found to be harmful, perhaps they could be fired from high altitude planes flying above the storm. As noted at https://www.chicagotribune.com/news/ct-xpm-2001-08-17-0108170206-story.html, “In most hurricanes these thunderstorms top out between 40,000 and 50,000 feet with the diverging upper winds spreading out a canopy of cirrus clouds from these thunderstorms over the hurricane.” There are planes that can fly at those altitudes. Equipping them with laser cannons would serve as an alternative to firing lasers through the o-zone layer from Earth orbit.
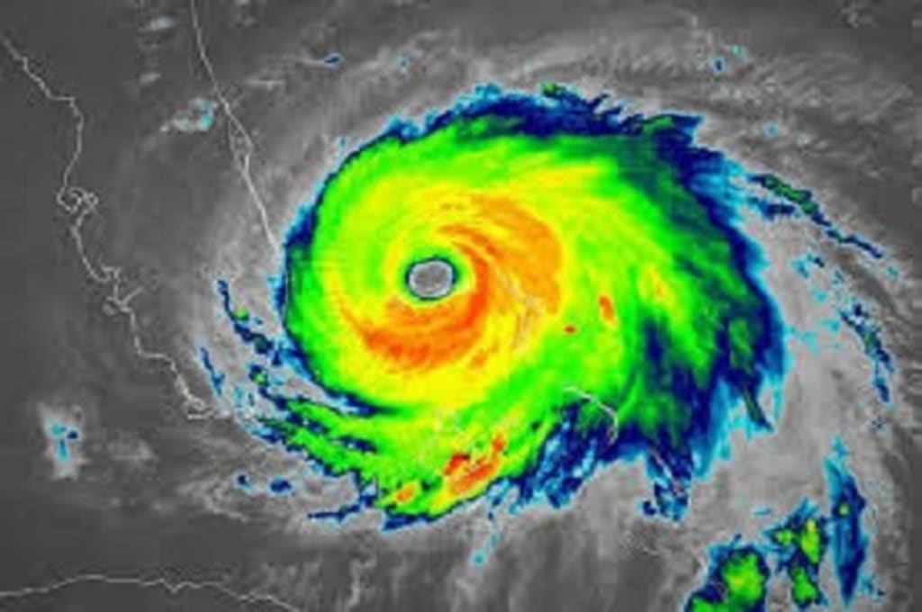
While targeting the waters at the storm’s eye with “cold” low-frequency lasers might be effective enough to cool the water feeding the storm, another alternative target area could be the storm’s clouds. As per the heat photo shown above, certain areas of the storm’s clouds are hotter than others. Perhaps firing lasers into the hottest regions of the storm’s clouds would dissolve and evaporate them, much like the sun burns away fog.
Targeting the storm’s cloud layer would require “hot” high-frequency lasers instead of the “cold” low-frequency lasers fired at the water, since the aim is to burn the clouds away. The idea of using lasers to burn away clouds has been around for a while, as noted at https://www.sciencedaily.com/releases/2018/10/181017111033.htm:
“We live in an age of long-range information,” the article begins. “Research is turning towards the use of lasers which have several advantages. However, this new technology faces a major problem: clouds. Due to their density, clouds stop the laser beams and scramble the transfer of information. Researchers at the University of Geneva (UNIGE), Switzerland, have devised an ultra-hot laser that creates a temporary hole in the cloud, which lets the laser beam containing the information pass through.”
While the aim of the procedure described above is to break-up cloud cover to allow laser beams containing digital data to pass uninterrupted, the process of breaking-up the cloud can be used in storm busting. Targeting the hottest parts of the storm’s cloud cover and dissipating them should cool the storm system overall.
If using “hot” lasers to burn away a storm’s cloud cover is effective, ground turrets could be installed much more cheaply than using orbiting satellites or high flying planes. Ground laser turrets could be strategically placed near the beaches of populated lands that are frequently hit by such storms, firing their lasers into the clouds as a storm approaches.




Comments